This week, a team of maritime archaeologists completed a detailed underwater study of the wreck of the SS Terra Nova. Their findings paint a vivid portrait of the famous ship’s final hours, and of its fate in the 80 years since.
Launched in 1884, the Terra Nova lived a peaceful life as a whaler until she joined Robert Falcon Scott’s ill-fated Antarctic expedition in 1910. Unlike Scott and the other members of the South Pole party, she survived the expedition but fell victim to pack ice during World War II and sank off the coast of Greenland.
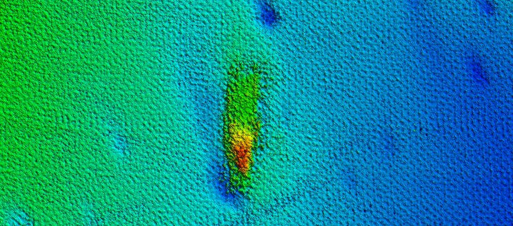
There she rested until 2012, when marine survey technician Leighton Rolley proposed the general location of her sinking as a test project for new sonar equipment. The sonar scans detected various wreck-like features on the sea floor. One of them exactly matched the recorded length of the SS Terra Nova, 57m. After 70 long years, they had found the ship.
The survey team then lowered what was officially called the Simple High Resolution Imaging Package (SHRIMP), which was, in practice, simply an underwater camera and four flashlights attached to a cable. SHRIMP revealed the wooden skeleton of a wreck.

This blob in a sonar scan turned out to be the wreck of the SS Terra Nova. Photo: Schmidt Ocean Institute
Terra Nova in detail
Now Leighton Rolley is back at the site of the wreck, this time with the equipment necessary for a full visual survey. The expedition vessel, MY Legend, is a high-tech yacht accustomed to polar cruises. Expert divers and a submarine have replaced SHRIMP, exposing details of the wreck.
Their survey confirmed the SS Terra Nova’s identity. They also found that the bow had violently split in half. Remnants of gear still on the deck testified to the rapid evacuation of the ship in 1943.
“One of the most powerful moments was discovering the helm station near the stern — a symbolic and moving find,” wrote submarine officer Aldo Kuhn. Photographs from the survey also show the ship’s wheel, still intact after 80 years in the frigid water.

You can charter the ‘MY Legend’ for only $700,000 a week, in case you’re looking for a casual vacation. Photo: Arthaud Yachting
Still supporting life
But the team didn’t only find the remnants of life. They found life is still there.
According to Kuhn, “a beautiful marine ecosystem is now thriving on the wreck, bringing new life to this historic site.” Rolley wrote that the team saw corals, anemones, and fish living on the old oak whaler.
Shipwrecks often act as havens for marine life. Plants and corals grow well on wood in underwater environments, and small fish use the structures as shelter. Many oceanic organizations worldwide take special care to preserve the ecological role of shipwrecks.